🏡 Bán đất mặt tiền đường Trần Hưng Đạo – TP. Dĩ An
Lô đất vị trí đẹp ngay mặt tiền đường lớn, phù hợp kinh doanh, xây nhà phố hoặc đầu tư lâu dài.
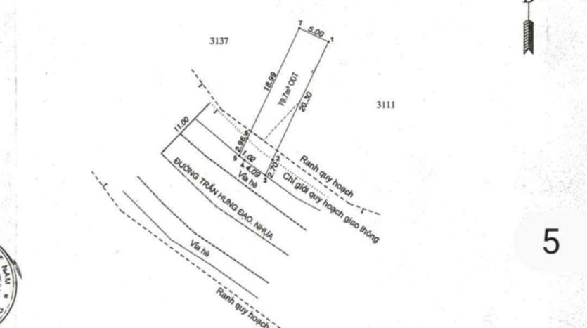
🔹 Thông tin chi tiết:
– Diện tích: 5 x 22m (110m²)
– Mặt tiền đường nhựa rộng, xe hơi ra vào thuận tiện
– Khu dân cư đông đúc, kinh doanh buôn bán sầm uất
– Pháp lý: sổ riêng, sang tên công chứng ngay
📍 Vị trí:
– Nằm ngay trung tâm TP. Dĩ An
– Gần chợ, trường học, siêu thị, giao thông kết nối các tuyến đường chính
💰 Giá bán: 7,9 tỷ (thương lượng chính chủ)
📞 Liên hệ ngay: 0985459086 để xem đất trực tiếp.
Id thuộc tính: 36134
Giá bán: 7,900,000,000 Đ
Danh sách tương tự
Bán cặp đất liền kề KDC Hoàng Hùng Dĩ An, 72...
3,900,000,000 Đ
🏡 Cần bán 1 cặp đất liền kề KDC Hoàng Hùng – Lê Văn Mầm, vị trí đắc địa trung tâm phường Tân Đông Hiệp, TP. Dĩ An L [hơn]
🏡 Cần bán 1 cặp đất liền kề KDC Hoàng Hùng – Lê Văn Mầm, vị trí đắc địa trung tâm phường Tân Đông Hiệp, TP. Dĩ An L [hơn]
hiennguyen
Bán đất 75,5m² gần Cá Koi Toàn Phát 2 Dĩ An,...
3,150,000,000 Đ
🏡 Bán lô đất đẹp ngay Cá Koi Toàn Phát 2 – phường Dĩ An, TP.HCM Lô đất vuông vức, vị trí trung tâm, đường rộng xe h [hơn]
🏡 Bán lô đất đẹp ngay Cá Koi Toàn Phát 2 – phường Dĩ An, TP.HCM Lô đất vuông vức, vị trí trung tâm, đường rộng xe h [hơn]
hiennguyen
Bán đất mặt tiền Lê Văn Tiên Tân Đông Hiệp D...
5,800,000,000 Đ
🏡 Bán đất mặt tiền đường Lê Văn Tiên – lô góc 2 mặt tiền cực đẹp, vị trí kinh doanh đa ngành nghề tại phường Tân Đô [hơn]
🏡 Bán đất mặt tiền đường Lê Văn Tiên – lô góc 2 mặt tiền cực đẹp, vị trí kinh doanh đa ngành nghề tại phường Tân Đô [hơn]
hiennguyen
Bán đất sổ riêng 261m² phường Tân Đông Hiệp ...
2,260,000,000 Đ
🏡 Bán đất sổ riêng phường Tân Đông Hiệp – TP. Dĩ An (TP.HCM) ❤️ Giá rẻ chỉ 2 tỷ 260 triệu – bớt lộc cho khách thiện [hơn]
🏡 Bán đất sổ riêng phường Tân Đông Hiệp – TP. Dĩ An (TP.HCM) ❤️ Giá rẻ chỉ 2 tỷ 260 triệu – bớt lộc cho khách thiện [hơn]
hiennguyen










